אנציקלופדיה הלכתית-חקלאית מרכזת מידע מקצועי והלכתי השייך לכלל תחומי החקלאות (הצומח והחי) ומהווה רקע חשוב לכתיבה הלכתית בנושא המצוות התלויות בארץ.
הערכים מובאים בשני חלקים: החלק המדעי-מקצועי ובעקבותיו הדיון ההלכתי.
צוות הכותבים של האנציקלופדיה כולל אנשי מדע מעולם האקדמיה, הנחשבים למומחים בתחומם, ורבנים פוסקי הלכה הבקיאים במצוות התלויות בארץ ובפרטי הלכותיהם.
מטרת האנציקלופדיה היא להביא בפני הקורא את הידע הקיים בסוגיות אלו, ואינה מהווה ספר פסיקה הלכה למעשה.
פרוייקט בסיוע משרד התרבות והספורט- מנהל התרבות. המחלקה למכוני מחקר תורניים.
לתגובות, הערות ומשוב לחצו כאן>>
א. הקדמה
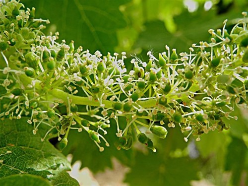
ב. תיאור בוטני
הסמדר הוא פרי בתחילת התפתחותו.[1] שנחלקו בו התנאים האם ניתן להגדיר כפרי. בעלי המשנה נמשלו לסמדר[2].
פרחי הסוג "גפן" (Vitis vinifera) נבדלים מיתר הסוגים במשפחת הגפניים (Vitaceae) במספר מאפיינים:
המבנה המיוחד של פרחי הגפן מתואר בפסוק[3] "פרחה הגפן פתח הסמדר" הסמדר הוא שמו של פרח הגפן. על פי הסורית סמדר הוא עמידה הפוכה המתארת את האופן בו מאורגנים עלי הכותרת של פרח הגפן. עלי הכותרת אינם מחוברים לבסיס הפרח כי אם בראשו. פתח הסמדר הוא השלב בו נושרת מצנפת עלי הכותרת ומתגלים חמשת האבקנים.[4] בשלב זה מופץ הריח האופייני של הגפן.
לאחר החנטה, התפתחות הענב, בדומה לפירות רבים בעלי ציפה בשרנית מחולקת לשלושה שלבים:
ישנם מקומות בעולם בהם מפיקים מהענבים בשלב גידול זה, חומץ שנקרא "ורז'ו", חומץ ענבי בוסר שנוצר מסחיטת ענבים לא בשלים, שמצטיין בחמצמצות מתקתקה ועדינה יותר מזו של חומץ יין. בערבית חומץ זה נקרא חוסרום (ענבי בוסר בשפה הערבית), ותושבי אזור סוריה הגדולה (סוריה, לבנון וישראל של ימינו), נהגו להכין בעונת הקיץ מיץ חוסרום - חומץ לתיבול מיני מאכלים וסלטים, וחוסרום כבוש - ענבי בוסר משומרים במי מלח.[10]
תזמון בצירת הענבים תלוי במטרת השימוש בענבים; לצורך ענבי מאכל (הבצירה המוקדמת ביותר), לצורך ינות שולחניים (יבשים), יינות מתוקים, וצימוקים (הבצירה המאוחרת ביותר).
המונח "סמדר" כמתאר שלב ראשוני בהתפתחות הענבים מופיע בשלושה פסוקים בשיר השירים: "התאנה חנטה פגיה והגפנים סמדר נתנו ריח[11]", "אחזו לנו שועלים שועלים קטנים מחבלים כרמים וכרמינו סמדר[12]", "נשכימה לכרמים נראה אם פרחה הגפן פתח הסמדר הנצו הרמונים".[13]
זהוי שלב זה: במקרא ובחז"ל הוזכרו מספר שלבים של התפתחות הענב; סמדר ובוסר. שלב הסמדר הוא השלב הראשון, ולאחריו הבוסר כפי שנלמד במשנה:[14] "רבי יהודה אומר: בשלשה פרקים בודקין את היין: בקדים של מוצאי החג, ובהוצאת סמדר, ובשעת כניסת מים בבוסר." שלבים אלו מציינים כמה תקופות בהן קיימים כנראה חילופי מזג אוויר שבגללם ייתכן והיין החמיץ, ולכן יש לבדוק את מצבו על מנת שלא יפרישו ממנו מעשרות על יין טבל.
קיימים בראשונים שני הסברים מרכזיים לשלב הסמדר; שלב הפריחה, או שלב הפרי ההתחלתי.
א. שלב הפריחה: הרמב"ם[15] מתרגם את הסמדר כ"אלפקאח", פקאח בערבית הוא ניצן הפרח לפני הפריחה או מיד לאחריה, דהיינו לפני ההאבקה והחנטה, ולכן מדובר בשלב פתיחת הפרח.[16] וכך מבאר האבן עזרא.[17] לדעתם מחלוקת רבי יוסי וחכמים כפי שתבואר להלן, היא סביב השלב שבו הפרח עדיין סגור. וכך מבאר גם פליקס, שמדובר בשלב הפריחה.[18] לדעת רבי יוסי בשלב זה הפרח נראה כפרי ולכן אסור בערלה ואילו חכמים התייחסו לשלב הביולוגי האמיתי של יצירת הפרי, שהוא רק לאחר האבקה והחנטה.
ב. שלב הפרי ההתחלתי: יש המבארים שהסמדר הוא השלב שבו ניתן להבחין בפרי: "הוצאת סמדר - כתום פרח וענביו נראין באשכול כסדרן"[19]. דהיינו שעלי הכותרת נשרו, וכעת ניתן להבחין בענבים, ומדובר בפרי שגדול מהפרח[20]. באופן דומה ביאר הרד"ק בספר השורשים[21]. והכוונה היא שצורת הפרי כבר ניכרת באופן מינימלי.[22]
לדעה זו תובן מחלוקת רבי יוסי וחכמים, שמחד גיסא יש כבר פרי על העץ, אך מאידך אין בו נוזלים והוא אינו ראוי כלל לאכילה, אפילו לא בשעת הדחק.
ביחס למעמדו ההלכתי של הסמדר קיימת מחלוקת תנאים עקרונית בין חכמים לרבי יוסי[23], האם הסמדר מוגדר כפרי או שלא, לדעת חכמים הוא אינו פרי ולדעת רבי יוסי הוא פרי, למחלוקת זו ישנן כמה השלכות:
ברכתו: להלכה נפסק כדעת חכמים שהסמדר אינו פרי, לכן ברכתו היא בורא פרי האדמה[24].
ירושה: בדיני ירושה הבכור נוטל פי שניים מאחיו רק בנכסים שהיו קיימים בחיי האב, ושלא חל בהם שינוי מהותי, לענין זה תמרים שהיו בשלב הסמדר, והתפתחו לאחר מיתת האב נחשבים כתמרים שהשתנו באופן משמעותי[25].
נזיקין: כשהענבים הם בשלב הסמדר הם נחשבים כפרי, ולכן המזיק אותן משלם כשווים של פירות בשלים.[26]
נזירות: אסור לנזיר לאכול את הענבים או את חלקיהם, לדעת רבי יוסי איסור זה הוא אף על הסמדר, ולדעת חכמים, אין איסור לנזיר באכילת הסמדר.[27]
קנין: הפוסקים דנו האם כשהפרי הוא בשלב הסמדר הוא נחשב כדבר שבא לעולם.[28]
ריבית: בהלכות רבית קיים כלל "שאין פוסקין על הפירות עד שיצא השער"[29], דהיינו שאין לשלם לחברו מעות על הפירות שעדיין לא נקטפו מכיוון שיש בכך משום איסור ריבית, שיש לחשוש שמא הוא משלם כעת סכום נמוך יותר[30] נחלקו האמוראים האם כשהענבים הם בשלב הסמדר יש בכך משום איסור ריבית, לדעת רב יש בכך איסור מכיוון שמדובר בפרי שעדיין אינו ראוי לשימוש ואם כן יש בכך משום תשלום מוקדם, ולדעת שמואל מכיוון הלוקח מסכן את עצמו, שאין ודאות מלאה שהפרי יהיה ראוי לשימוש בשל פגעי מזג האוויר, מזיקים, ועוד אין בכך משום רבית.[31]
חנטה: לדעת ראשונים רבים חנטת הפרי היא הזמן הקובע את שייכות הפרי לשנת המעשר, יש הסוברים ששלב זה הוא שלב הסמדר[32].
כלאי הכרם: בכלאי הכרם קיים כלל שהענבים מתקדשים רק כשהם מוגדרים כ'תבואת הכרם', יש הסוברים שכשהם בשלב הסמדר הענבים נאסרים[33]. ויש הסוברים שבשלב זה הם לא נאסרים.[34]
נטע רבעי: נחלקו התנאים האם ניתן לחלל פירות נטע רבעי כשהם סמדר.[35] לדעת רבי יוסי ניתן לחללם מכיוון שהם פרי, ולדעת חכמים לא ניתן לחללם שהר הם אינם פרי. עם זאת ניתן לתת במתנה את הסמדר שגדל בשנה הרביעית משום שהוא עדיין לא פרי[36]
ערלה: באיסור ערלה נאסרים רק הפירות, ואילו העלים והזמורות אינם נאסרים, לדעת רבי יוסי[37] כשהענב הוא בשלב הסמדר דינו כפרי, ויש בו אם כן איסור ערלה. ולדעת חכמים דינו כעלים וזמורות, ולכן אין בו איסור ערלה. יש הסוברים שאין להריח פרי ערלה בשלב הסמדר כיוון שמדובר בפרי[38], ויש הסוברים שמותר להריח בפרח ערלה בשלב הסמדר, משום שלדעתם בשלב זה הסמדר עדיין אינו פרי[39].
קדושת שביעית: יש הסוברים שקדושת שביעית חלה על הפירות כבר משלב הסמדר, ולכן אין לדלל את הפירות שהגיעו לשלב זה.[40]
תמונות הסמדר כל הזכויות על התמונות שמורות לד"ר משה רענן ולפורטל הדף היומי
פרחי הגפן לפני פתיחתם מכוסים ב"מצנפת"

פרחי הגפן הסגורים - ניתן להבחין בעלי הכותרת

פרחים בשלבי התפתחות שונים. בשנים מהפרחים ניתן לראות את המצנפת במהלך נשירתה

פרחי הגפן לאחר נשירת ה"מצנפות"

פרחי הגפן לאחר פתיחתם - כל שחלה עטורה בזר אבקנים

[1] מפעל המילון ההסטורי ערך 'סמדר', ראה רש"י נדה מז, א שכתב הסמדר הוא משל לאישה בתחילת התפתחותה הגופנית.
[2] ערובין כא, ב, ראה רש"י במקום שביאר שהסמדר - גדול מפרח, כך משנה מפורשת יותר מן המקרא.
[3] שיר השירים ז, יג.
[4] קיימים זני ענבים בהם קיימת האבקה חבויה (cleistogamous) ואם כן ייתכן שנשירת ה"מצנפת" מתרחשת לאחר החנטה.
[5] הטאנינים הם חומרים המצויים בין השאר בענבים ובפירות בוסר, הם נחשבים כחומר מגן נגד הפסד מים, רקבון ונגד פגיעתם של בעלי חיים, חומרים אלו יוצרים את תחושת העפיצות (Astringency) במקרה של אכילת פרי בוסר או יין אדום, בענב רכיבים אלו מצויים בעיקר בקליפת הענב ובחרצן.
[6] עובדה זו מסבירה מדוע יין אדום נחשב ל"כבד" ו"יבש" יותר מאשר יין לבן, זאת מכיוון שבתהליך הכנת יין לבן מפרידים את הנוזל מהקליפה, והיא אינה משתתפת בתהליך התסיסה.
[7] מדידת הסורכר מתבצעת באמצעות מדד בריקס (brix)- מדד ריכוז סוכר בנוזל, מעלה אחת בריקס היא גרם סוכר ב100 גרם נוזל.
[8] הצבע מצוי בעיקר בקליפת הענב, הרוב החיצוני- exocarp.
[9] למשל, בענבים מזן "תומפסון" נמצא כי מספר התאים הכפיל את עצמו פי 17 בשלב ההתפתחות הראשון, ורק שילש את עצמו בשלב ההתפתחות השני, אך נפח התאים כמעט ולא השתנה בשלב הראשון, ו..... את עצמו בשל השני, דבר שגרם לעלייה משמעותית בנפח הפרי בשלב השני.
[10] ראה בקישור הבא: https://www.haaretz.co.il/food/dining/.premium-1.2417774
[11] ב, יג.
[12] ב, טו.
[13] ז, יג.
[14] גיטין ג, ח.
[15] פירוש המשניות ערלה א, ז.
[16] ראה כפתור ופרח פרק נד: "סמדר פירש הר"מ ז"ל הוא הפרח שממנו יצא הפרי". רע"ב ערלה א, ז: הסמדר - הוא הפרח שממנו יצא הבוסר, ראה מ. רענן, פורטל הדף היומי ערך "גפן היין- סמדר".
[17] שיר השירים ב, יג: סמדר - כשיצא ציץ הגפן.
[18] עצי פרי, עמ' 73
[19] רש"י ברכות לו, ב, גיטין לא, א, מנחות טו, ב, שיר השירים ב, יג, סוטה יב, א- סמדר בעוד הפרי קטן. ראה מאירי גטין לא, א, פסחים נג, א, ראה כפתור ופרח פרק נד שכתב בשם הראב"ד: אביונות הם הפרי כשהוא סמדר". לדעת מ. רענן, פורטל הדף היומי, ערך סמדר אסור מפני שהוא פירי, קיימת סתירה ברש"י ונראה מדבריו בכמה מקומות שהוא סובר כדעת הרמב"ם, שמדובר באחד משלבי הפריחה. אך ראה לעזי רש"י פסחים נב, ב בביאור "אישפיני"ר" שרש"י הזכיר espenir, שמדובר בהתפתחות הפרי, ויכול להיות, שהמלה הצרפתית מתייחסת לכל ההסבר שברש"י: "משנפל פרח הגפן ונראית צורת הענבים", ולא למלה "סמדר" דווקא, ביאור של מ. רענן קשה בדעת רש"י משום שרש"י מזכיר במפורש במספר מקומות שהסמדר הוא שהענבים ניכרים לאחר נפילת הפרח, כגון קידושין נד, ב, וקשה לומר בדבריו שרש"י לא דק.
[20] רש"י ורשב"א מנחות טו, ב סמדר - כבר חנטו ענבים", רש"י עירובין כא, ב, סמדר- גדול מפרח, ראה ערוך ערך סמדר: סמדר בין לבלוב לבוסר. וכ"כ ספר אור זרוע חלק א - הלכות ערלה חדש ושביעית סימן שכא.
[21] ראה ספר השורשים לרד"ק, ערך סמדר: "הסמדר הוא הענבים הדקים לאחר שפרחו מיד שניכרים הענבים אבל אינם גמורים עדיין וכשהם גמורים שהם כפול הלבן קודם בישולם ייקראו בוסר ולאחר בישולם ייקראו ענבים".
[22] הרב אריאל שו"ת באהלה של תורה ד, לט.
[23] ערלה א, ז.
[24] אורחות חיים הלכות ערלה ונטע רבעי.
[25] רשב"ם בבא בתרא קכד, א ראה שו"ע חו"מ רעח, ו.
[26] ב"ק נח, ב- נט, א, יתכן שדין זה נובע גם כן בשל העובדה שמדובר בשלב לאחר החנטה.
[27] ראה ירושלמי נזיר, ו: "לחים לרבות את הבוסר, לחים לרבות את הסמדר, מתניתא דרבי יוסי דרבי יוסי אמר סמדר אסור בנזיר מפני שהוא פרי" ראה אור זרוע א, שכה שביאר את דברי המשנה שאין מרכיבין בכפניות של ערלה, שמדובר בתמרים בעודן סמדר, ודין זה הוא לדעת רבי יוסי ולא לדעת חכמים. הרמב"ם נזירות ה, ב פסק כדעת חכמים.
[28] שו"ת רבי עקיבא איגר מהדורא קמא סימן קלה
[29] ב"מ עב, ב.
[30] ראה שו"ע יו"ד קעה, א.
[31] אור זרוע חלק ג פסקי בבא מציעא סימן רכו, תשובות הגאונים שערי צדק חלק ד שער ב סימן מב, ראה רבינו ירוחם - מישרים נתיב ח חלק ב דף כז טור ד.
[32] חזו"א שביעית ז, טז, מעשרות א ג-ד.
[33] כפי שמובן מהגמרא מנחות טו, ב, במעשה של אחד שזרע כרמו של חברו סמדר ועבר בכך על איסור כלאי הכרם, תוספות מנחות טו, ב.
[34] כך משמע ברמב"ם כלאים ה, יג שכותב שהשלב הבסיסי שממנו ואילך הגפנים נאסרים הוא הבוסר, ואילו הסמדר כאמור הוא שלב מוקדם יותר, ראה חוקות הארץ עמ'....
[35] קידושין נד, ב.
[36] רש"י קידושין נד, ב.
[37] במשנה ערלה א, ז.
[38] שו"ת רדב"ז א, מד: כללא דמלתא אין לך דבר של ערלה שיהיה אסור להריח בו אלא אילן הנטוע לפירות מאכל ומריח בפירות עצמו אפילו בעודם בוסר ולא בעודם סמדר".
[39] שערי צדק שער משפטי הארץ ו, יז,
[40] בגמרא פסחים נב, ב- נג, א הובא שאיסור קציצת הפרי בשביעית הוא בשל מאוחר יותר מהסמדר, אולם רא מאמר מרדכי - שביעית פסקי הלכות ד סע' יח, שמכיוון שאין אנו בקיאים מהו של הסמדר יש לחשוש לקדושת שביעית גם בשלב זה, וכתב שבשעת הדחק - מותר לדלל פירות גם לאחר שנהיו סמדר, אך יש לעשות זאת בגרמא (באמצעות ריסוס) ועל ידי גוי.